NOW AVAILABLE!

Order from your local bookstore, or from any of these online sources!
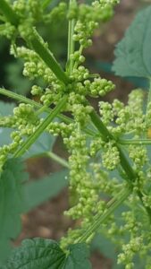
ARTICLE: It Doesn’t Have to Sting to be Good
Posted on by ridgetownrick

What do Admirals, Commas, Question Marks and Tortoiseshells all have in common? No, it’s not a love letter written by a shipwrecked seafarer on a desert island. These are all butterflies that are commonly found in the southern Great Lakes region and they, along with a few interesting moths, all use members of the nettle family (Urticaceae) as host plants.
Many of us are familiar with that not-so-lovely burning sensation when we inadvertently brush a bare leg or an arm against some Stinging Nettle (Urtica dioica). This happens because on the stems and leaves are a lot of tiny, brittle, needle-like hairs called trichomes that easily break off when touched. At the base of these hairs is a potent mix of histamine, acetylcholine, serotonin and formic acid. And it is this chemical mixture that provides the stinging sensation that can last anywhere from a few minutes to a few hours, depending on your sensitivity level and the size of the dose you get.
Stinging Nettle is not native to our region – it is naturally found in Europe, Asia and North Africa. Fortunately, we have several members of Urticaceae that are native to the southern Great Lakes region that we can grow in our gardens as host plants, and some of these are even non-stinging if you really don’t want to get stung.
Plant of the Month: Hairy Beardtongue
Posted on by ridgetownrick

Scientific Name: Penstemon hirsutus
June is typically a quieter time in my gardens, with the rush of spring ephemerals long done and the riot of summer colours not quite upon us yet. Perhaps that is why I find Hairy Beardtongue so appealing. It starts its long blooming period, with its soft, powdery purple and white flowers, when most of my garden is still rather green.
As usual, the Plant Description and In the Garden sections are courtesy of Shawn Booth from In Our Nature. The content of this article is excerpted from our book The Gardener’s Guide to Native Plants of the Southern Great Lakes Region (Firefly Books), available wherever you buy your books.
Family: Scrophulariaceae (Figwort Family)
Alternate Common Names: Hairy Penstemon, Dwarf Hairy Penstemon, Eastern Penstemon, Northeastern Beardtongue, Pride of the Mountain
Plant description: Hairy Beardtongue features green to reddish brown, hairy stems. Along the stems are opposite, lance-shaped leaves with pointed tips and toothed edges.
Native Plant Nursery: Rosemont Meadows Native Plants
Posted on by ridgetownrick
Owner/Proprietor: Emma Murphy

Address: 21 Katherine St., Lakefield, Ontario
Web Site: Not yet! Hopefully sometime this year!
Email: rosemontmeadowsnativeplants@gmail.com
Facebook Page: https://www.facebook.com/rosemontmeadows.nativeplants
Other Social Media: IG – https://www.instagram.com/rosemont_meadows_native/
When I started to grow native plants, almost 20 years ago now, there were a small handful of native plant nurseries in Ontario. As the demand has grown, so has the number of sources of native plants, as it seems more and more gardeners are realizing the benefits of “growing native”. And since I am constantly scouring the web for native plant nurseries, I am often rewarded with finding new (or almost new) businesses catering to the native plant gardening public. This month’s native plant nursery profile is one such new discovery for me.
BOOK REVIEW
The Midwest Native Plant Primer: 225 Plants for an Earth-Friendly Garden

Posted on by ridgetownrick
By Alan Branhagen
- Publisher: Timber Press, July 2020
- Paperback: 256 pages
- ISBN-10: 160469992
- Dimensions: 8” X 9”
- Price: $35.74 (Amazon.ca); $19.42 (Amazon.com – currently a 22% discount)
At first glance, Branhagen’s The Midwest Native Plant Primer looks like a great book for native plant gardeners. It has almost 45 pages in the introduction alone that covers topics like Why Cultivate Native Plants, and goes into some detail on what defines the Midwest, looking at the various habitats (grasslands, forests). And it is chock full of beautiful photos.
There’s a whole chapter on selecting native plants – how to choose your plant and what to avoid (i.e. right plant, wrong place), with a short section on gardening for birds and one on gardening for butterflies. He talks about the aesthetics of native plants in the garden (form, colour, fragrance, etc.), then devotes a chapter to Designing with Native Plants.
With lots of beautiful photographs and some great information in the lengthy introductory section, at one time I would likely have found this book delightful. But maybe my collection of books on native plant gardening is just getting too big. I found that the actual plant information is quite limited so it is unclear who its target market is or even what the overall purpose is. This book might make a great introductory book to native plants, but there are several overview books in print already and this one doesn’t really offer anything new. What’s worse, it misses out in a number of areas to be of any great value to a native plant gardener.
Other Random Stuff
Check out the August Jigsaw Puzzle